Вхід на сайт

Ел. пошта:
Пароль:

Реєстрація на сайті

Призвіще: Область:
Ім'я: Населений пункт:
    По батькові: Номер телефону:
    Ел. пошта: Компанія:
      Пароль: Посада:
      Повторіть пароль: Рік початку роботи:
      Фото:
      З правилами розміщення об'єктів погоджуюсь

      Забули пароль?

      Вкажіть ел. пошту — ми надішлемо Вам новий пароль для входу
      Ел. пошта:

      Проблема на сайті

      Закрити
      Ваш e-mail:
      (необов'язково)
      Розкажіть нам, що сталось

      112_1.jpg

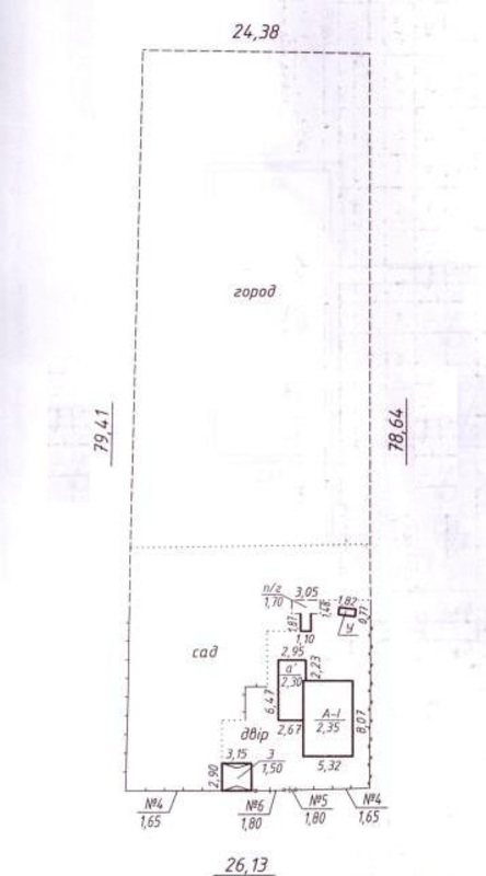
      ул. Твардовского — Продається ділянка під забудову

      (г. Сумы, Заречный район)

      27500 $

      Площа ділянки: 20 сот

      Чудова земельна ділянка 20 соток на Тімірязівці. Майже ідеальні геометричні пропорції - 20 на 80 метрів.
      Ділянка рівна, з усіх боків огороджена.
      Вдалі пропорції дозволяють розмістити щонайменше один житловий будинок, й все що потрібно буде ще для життя - сад, гараж, майстерню, господарській двір, город чи або й навіть басейн.
      Підведені комунікації - електроенергія, газ, вода.
      На ділянці розміщено старий будинок - можна продавати як ділянку, можна як будинок, якщо покупцям це буде потрібно.
      Кадастровий номер ділянки: 5910136300:14:013:0019

      Надіслати скаргу

      Закрити
      Поскаржитися на об'єкт «ул. Твардовского (г. Сумы, Заречный район)»
      Ваш коментар:(Необов'язково)
      Ваша скарга буде надіслана ріелтору, що розмістив об'єкт, а також адміністрації сайту АФНУ.
      Ваше ім'я:
      (Обов'язково)
      Ваш e-mail для відповіді:
      (Обов'язково)

      Коментарі